About   Help   FAQ
Phenotype Image Detail
Image
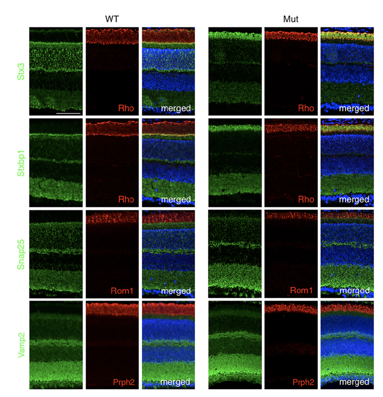
Caption Accumulation of Stx3 and Stxbp1 in the Lztfl1tm1e(KOMP)Wtsi/Lztfl1tm1e(KOMP)Wtsi (Mut) outer segment (OS) at P21. Wild-type (WT) and mutant retinas were stained with Stx3, Stxbp1, Snap25, and Vamp2 antibodies (green). The OS was marked by Rho, Rom1, and Prhp2 antibodies (red). DAPI (blue) was used to stain nuclei, and merged images were shown in the third panels. (Scale bar, 50 um.)
Copyright This image is from Datta P, Proc Natl Acad Sci U S A 2015 Aug 11;112(32):E4400-9. Copyright 2015 National Academy of Sciences, U.S.A. J:226512
Associated
Alleles
Symbol Name
Lztfl1tm1e(KOMP)Wtsi leucine zipper transcription factor-like 1; targeted mutation 1e, Wellcome Trust Sanger Institute
Lztfl1tm1e(KOMP)Wtsi leucine zipper transcription factor-like 1; targeted mutation 1e, Wellcome Trust Sanger Institute
Associated
Genotypes
Allelic Composition Genetic Background
Lztfl1tm1e(KOMP)Wtsi/Lztfl1tm1e(KOMP)Wtsi involves: 129S/SvEv * C57BL/6N

Contributing Projects:
Mouse Genome Database (MGD), Gene Expression Database (GXD), Mouse Models of Human Cancer database (MMHCdb) (formerly Mouse Tumor Biology (MTB)), Gene Ontology (GO)
Citing These Resources
Funding Information
Warranty Disclaimer, Privacy Notice, Licensing, & Copyright
Send questions and comments to User Support.
last database update
12/30/2025
MGI 6.24
The Jackson Laboratory