About   Help   FAQ
Gene Expression Data
Assay Details
Assay
Reference: J:282838 Fan J, et al., Amhr2-Cre-Mediated Global Tspo Knockout. J Endocr Soc. 2020 Feb 1;4(2):bvaa001
Assay type: Immunohistochemistry
MGI Accession ID: MGI:6507612
Gene symbol: Tspo
Gene name: translocator protein
Antibody: anti-TSPO [EPR5384] (ab109497)
Detection system: Secondary antibody coupled to Alexa Fluor 546
Results
Specimen 3D top: embryonic day 3.5 (more )
Structure Level Pattern Image Note
TS5: inner cell mass Present 3D top middle , 3D top right , 3D top left

Specimen 3D bottom: embryonic day 3.5 (more )
Structure Level Pattern Image Note
TS5: inner cell mass Present 3D bottom right , 3D bottom left , 3D bottom middle

Specimen 4A: postnatal adult (more )
Structure Cell Type Level Pattern Image Note
TS28: Leydig cell Leydig cell Strong 4A

Specimen 4B: postnatal adult; Tspotm1.1Maf/Tspo+ (more )
Structure Cell Type Level Pattern Image Note
TS28: Leydig cell Leydig cell Weak 4B

Specimen 4C: postnatal adult; Tspotm1.1Maf/Tspotm1.1Maf (more )
Structure Cell Type Level Pattern Image Note
TS28: Leydig cell Leydig cell Absent 4C

Specimen 4D: postnatal adult (more )
Structure Cell Type Level Pattern Image Note
TS28: Leydig cell Leydig cell Strong 4D

Specimen 4E: postnatal adult; Tspotm1.1Maf/Tspo+ (more )
Structure Cell Type Level Pattern Image Note
TS28: Leydig cell Leydig cell Weak 4E

Specimen 4F: postnatal adult; Tspotm1.1Maf/Tspotm1.1Maf (more )
Structure Cell Type Level Pattern Image Note
TS28: Leydig cell Leydig cell Absent 4F

Specimen 4G: postnatal adult (more )
Structure Level Pattern Image Note
TS28: adrenal cortex zone Strong 4G
TS28: adipose tissue Strong Regionally restricted 4G Expression is in the fat tissue surrounding the adrenal glands.

Specimen 4H: postnatal adult; Tspotm1.1Maf/Tspo+ (more )
Structure Level Pattern Image Note
TS28: adrenal cortex zone Weak 4H

Specimen 4I: postnatal adult; Tspotm1.1Maf/Tspotm1.1Maf (more )
Structure Level Pattern Image Note
TS28: adrenal cortex zone Absent 4I
TS28: adipose tissue Absent 4I Expression is absent in the fat tissue surrounding the adrenal glands.

Specimen 4J: postnatal adult (more )
Structure Level Pattern Image Note
TS28: adrenal cortex zone Strong 4J
TS28: adipose tissue Strong Regionally restricted 4J Expression is in the fat tissue surrounding the adrenal glands.

Specimen 4K: postnatal adult; Tspotm1.1Maf/Tspo+ (more )
Structure Level Pattern Image Note
TS28: adrenal cortex zone Weak 4K

Specimen 4L: postnatal adult; Tspotm1.1Maf/Tspotm1.1Maf (more )
Structure Level Pattern Image Note
TS28: adrenal cortex zone Absent 4L
TS28: adipose tissue Absent 4L Expression is absent in the fat tissue surrounding the adrenal glands.

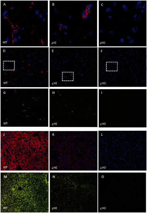
Specimen 5A: postnatal adult (more )
Structure Level Pattern Image Note
TS28: brain Present Spotted 5A , 5G , 5D Expression is in sparsely distributed spots.

Specimen 5B: postnatal adult; Tspotm1.1Maf/Tspo+ (more )
Structure Level Pattern Image Note
TS28: brain Weak Spotted 5H , 5E , 5B Expression is in sparsely distributed spots.

Specimen 5C: postnatal adult; Tspotm1.1Maf/Tspotm1.1Maf (more )
Structure Level Pattern Image Note
TS28: brain Absent 5F , 5I , 5C

Specimen 5J: postnatal adult (more )
Structure Level Pattern Image Note
TS28: liver Strong 5J , 5M

Specimen 5K: postnatal adult; Tspotm1.1Maf/Tspo+ (more )
Structure Level Pattern Image Note
TS28: liver Weak 5N , 5K

Specimen 5L: postnatal adult; Tspotm1.1Maf/Tspotm1.1Maf (more )
Structure Level Pattern Image Note
TS28: liver Absent 5O , 5L


Contributing Projects:
Mouse Genome Database (MGD), Gene Expression Database (GXD), Mouse Models of Human Cancer database (MMHCdb) (formerly Mouse Tumor Biology (MTB)), Gene Ontology (GO)
Citing These Resources
Funding Information
Warranty Disclaimer, Privacy Notice, Licensing, & Copyright
Send questions and comments to User Support.
last database update
01/20/2026
MGI 6.24
The Jackson Laboratory